TO ALL INTERESTED PERSONS WHO ARE ENTITLED TO SIGN
AN APPLICATION TO TAKE PART TO A REFERENDUM
Second draft 1156-11-37 (adopted on January 24, 2019)
amending the zoning by-law
NOTICE is hereby given that, following the public consultation meeting which was held on January 24, 2019, the municipal Council of "Ville de Gaspé" has accepted by resolution, on January 24, 2019 a second draft of by-law 1156-11-37 amending the zoning by-law. This second draft contains provisions that may be subject to an application made by interested persons from anyone of the zones to which such provisions apply and of the contiguous zones, to require that a by-law containing these be submitted for their approval, in accordance with the Act respecting elections and referendums in municipalities.
- 1. PURPOSE OF AN APPLICATION TO TAKE PART TO A REFERENDUM
1.1 An application relating to the following provision of the second draft:
- « Agrandissant la zone M-224 à même une partie de la zone M-236 »;
Such an application is required that the by-law containing the provision to which it applies be submitted for the approval of the qualified voters in the zone to which applies this application, and in any contiguous zone from which a valid application originates.
1.2 An application relating to the following provision of the second draft:
- « Modifiant le deuxième paragraphe de l’article 3.2.17 « CLASSE INDUSTRIE DIVERSE (I-2) », afin d’ajouter l’usage autorisé Industrie de production, de transformation et d’entreposage du cannabis (2131) dans la zone IC-269 »;
Such an application is required that the by-law containing the provision to which it applies be submitted for the approval of the qualified voters in the zone to which applies this application, and in any contiguous zone from which a valid application originates.
1.3 An application relating to the following provision of the second draft:
- « Modifiant les usages autorisés dans les zones IC-161, IC-297, IC-297-1, IC-297-2 et IC-341-1 afin d’ajouter l’usage spécifiquement prohibé Industrie de production, de transformation et d’entreposage du cannabis (2131) »;
Such an application is required that the by-law containing the provision to which it applies be submitted for the approval of the qualified voters in the zone to which applies this application, and in any contiguous zone from which a valid application originates.
1.4 An application relating to the following provision of the second draft:
- « Ajoutant une note 1 à la grille de spécifications de la zone IC-269 afin d’ajouter une disposition relative aux matériaux autorisés pour la construction d’une serre. »
Such an application is required that the by-law containing the provision to which it applies be submitted for the approval of the qualified voters in the zone to which applies this application, and in any contiguous zone from which a valid application originates.
- 2. LOCALIZATION OF THE CONCERNED ZONES
The concerned zone (M-224), situated downtown Gaspé, is illustrated on the following sketche :

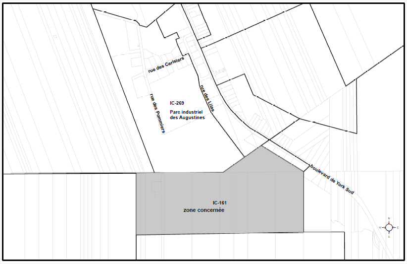
The concerned zone (IC-161), situated in the parc industriel des Augustines in Gaspé, is illustrated on the following sketche :

The concerned zone (IC-297), situated in the area of the Sandy-Beach wharf, is illustrated on the following sketche :

The concerned zone (IC-341-1), situated in the parc industriel de Rivière-au-Renard, is illustrated on the following sketche :

- 3. VALIDITY OF AN APPLICATION
To be valid, an application to take part to a referendum must:
- state clearly the provision of the second draft to which the application refers;
- indicate the zone from which the application originates;
- be signed by at least 12 interested persons of the zone from which it originates, if there are more than 21 interested persons in that zone, or, otherwise, by the majority of the interested persons;
- be received by the Town clerk office at the town hall no later than February 6, 2019, 4:30 pm.
- 4. INTERESTED PERSONS WHO ARE ENTITLED TO SIGN AN APPLICATION
An interested person is a person of full age, Canadian citizen and not under curatorship who, on the date of adoption of the second draft, which is January 24, 2019, is not disqualified from voting and meets one of the following requirements:
- is domiciled in a zone from which an application may originate and who has been domiciled in Québec for at least 6 months;
- is the owner of an immovable or the occupant of a business place situated on such a zone since 12 months at least.
- LACK OF APPLICATIONS
Should there be no valid applications relating to the provisions of the second draft, the said provisions may be then included in a by-law which will not have to be submitted for the approval of the qualified voters.
- 6. CONSULTATION OF THE DRAFT
The second draft of by-law is available for consultation at the Clerk’s office at the Town Hall during regular work hours, that is from 8 h 15 am till 12 h and from 1 h till 4 h 30 pm, Monday till Thursday, and from 8 h 15 am till 12 h on Friday.
Given in Gaspé, January 30 2019.
