AVIS est par les présentes donné que suite à l'assemblée publique de consultation tenue le 18 mars 2024, le Conseil municipal de la Ville de Gaspé a accepté par résolution le 18 mars 2024 un second projet de règlement 1156-11-65 modifiant le règlement de zonage. Celui-ci contient des dispositions qui peuvent faire l'objet d'une demande de la part des personnes intéressées des zones concernées ou des zones contiguës afin qu'un règlement qui les contient soit soumis à leur approbation, conformément à la Loi sur les élections et les référendums dans les municipalités.
- OBJET D'UNE DEMANDE DE PARTICIPATION À UN RÉFÉRENDUM
1.1 Une demande relative à la disposition suivante ayant pour objet de :
- modifiant l'article 5.3 USAGES PROHIBES DE CERTAINES CONTRUCTIONS
Une telle demande vise à ce que le règlement contenant cette disposition à laquelle elle s’applique soit soumis à l'approbation de toutes les personnes habiles à voter de toute zone située sur le territoire de la ville de Gaspé.
1.2 Une demande relative à la disposition suivante ayant pour objet de :
- modifiant le point D) SERVICES de l’article 3.2.3 CLASSE DÉTAIL, ADMINISTRATION ET SERVICES (C-2) afin d’ajouter un quatre-vingt-treizième usage autorisé Lieu de retour pour contenants consignés
Une telle demande vise à ce que le règlement contenant cette disposition à laquelle elle s’applique soit soumis à l'approbation de toutes les personnes habiles à voter de toute zone située sur le territoire de la ville de Gaspé.
1.3 Une demande relative à la disposition suivante ayant pour objet de :
- modifiant les usages autorisés dans la zone M-409 afin de permettre comme usage spécifiquement permis l’usage Ensemble touristique et d’assujettir cet usage au Règlement sur les usages conditionnels no1172-12
Toute telle demande vise à ce que le règlement contenant cette disposition à laquelle elle s’applique soit soumis à l'approbation des personnes habiles à voter de la zone indiquée, ainsi que de celles de toute zone contiguë d'où provient une demande valide à l’égard de la disposition. Toutefois, toute zone contiguë ayant fait une demande pourra participer à l’approbation référendaire seulement si une demande provient également de la zone à laquelle elle est contiguë.
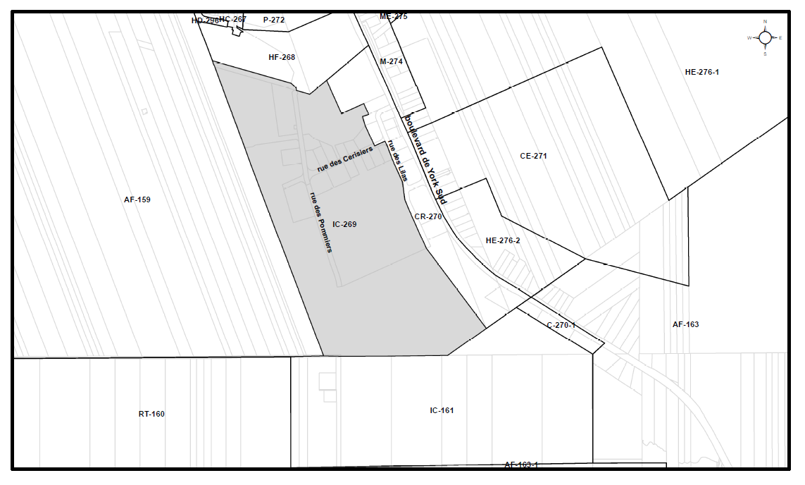
1.4 Une demande relative à la disposition suivante ayant pour objet de :
- modifiant les usages autorisés dans la zone IC-269 afin de permettre comme usage spécifiquement permis l’usage Centre récréatif en général (7424)
Toute telle demande vise à ce que le règlement contenant cette disposition à laquelle elle s’applique soit soumis à l'approbation des personnes habiles à voter de la zone indiquée, ainsi que de celles de toute zone contiguë d'où provient une demande valide à l’égard de la disposition. Toutefois, toute zone contiguë ayant fait une demande pourra participer à l’approbation référendaire seulement si une demande provient également de la zone à laquelle elle est contiguë.
1.5 Une demande relative à la disposition suivante ayant pour objet de :
- modifiant les usages autorisés dans la zone P-210 afin de permettre comme usage spécifiquement permis les usages Centre sportif multidisciplinaire (couvert) (7222) et Aréna (patinage sur glace) (7451);
Toute telle demande vise à ce que le règlement contenant cette disposition à laquelle elle s’applique soit soumis à l'approbation des personnes habiles à voter de la zone indiquée, ainsi que de celles de toute zone contiguë d'où provient une demande valide à l’égard de la disposition. Toutefois, toute zone contiguë ayant fait une demande pourra participer à l’approbation référendaire seulement si une demande provient également de la zone à laquelle elle est contiguë.
- LOCALISATION DES ZONES CONCERNÉES
Les zones concernées, M-409, IC-269 et P-210 sont illustrées sur les croquis suivants :
Zone M-409, située dans le secteur de l'Anse-au-Griffon (chemin du Portage et Rang Saint-Patrice) :


Zone P-210, située dans le secteur de l’école secondaire C.E. Pouliot :

- CONDITIONS DE VALIDITÉ D'UNE DEMANDE
Pour être valide, une demande de participation à un référendum doit :
- indiquer clairement la disposition du second projet qui fait l'objet de la demande ;
- identifier la zone d'où provient cette demande ;
- être signée par au moins 12 personnes intéressées de la zone d'où elle provient, ou par au moins la majorité d'entre elles si le nombre de personnes intéressées dans la zone n'excède pas 21 ;
- être reçue au Bureau de la greffière à l'hôtel de ville, au plus tard le 29 mars 2024, 16 h 30.
- PERSONNES INTÉRESSÉES AYANT LE DROIT DE SIGNER UNE DEMANDE
- Est une personne intéressée toute personne majeure, de citoyenneté canadienne qui n’est pas sous curatelle et qui, à la date d'adoption du second projet, soit le 18 mars 2024, n’est frappée d’aucune incapacité de voter et remplit une des deux (2) conditions suivantes :
- est domiciliée dans une zone d’où peut provenir une demande et domiciliée au Québec depuis au moins 6 mois ;
- est propriétaire d’un immeuble ou occupant d’un établissement d’entreprise situé dans une telle zone depuis au moins 12 mois.
4.2 Condition supplémentaire aux copropriétaires indivis d’un immeuble et aux cooccupants d’un lieu d’affaires : être désigné, au moyen d’une procuration signée par la majorité des copropriétaires ou cooccupants, comme celui qui a le droit de signer la demande en leur nom.
4.3 Condition d’exercice du droit de signer une demande par une personne morale : toute personne morale doit désigner parmi ses membres, administrateurs et employés, par résolution, une personne qui, le 18 mars 2024, est majeure et de citoyenneté canadienne et qui n’est pas en curatelle.
- ABSENCE DE DEMANDES
Toutes les dispositions du second projet qui n'auront fait l'objet d'aucune demande valide pourront être incluses dans un règlement qui n'aura pas à être approuvé par les personnes habiles à voter.
- CONSULTATION DU PROJET
Le second projet de règlement est disponible pour consultation au Bureau de la greffière à l’hôtel de ville durant les heures ouvrables, soit de huit heures quinze (8 h 15) à midi (12 h) et de treize heures (13 h) à seize heures trente (16 h 30) du lundi au jeudi et de huit heures quinze (8 h 15) à midi (12 h) le vendredi.
Fait et donné à Gaspé, ce 21 mars 2024.
Isabelle Vézina,
Directrice des services juridiques et greffière
